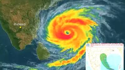
ରିପୋର୍ଟ କାର୍ଡ / ଭୁବନେଶ୍ୱର ଭୀଷଣ ବାତ୍ୟାର ରୂପ ନେଇଛି ‘ମୋନ୍ଥା’। ମଙ୍ଗଳବାର ବାତ୍ୟା ପଶ୍ଚିମକେନ୍ଦ୍ରୀୟ ବଙ୍ଗୋପସାଗର ଉପରେ...
ରାଜ୍ୟ
ରିପୋର୍ଟ କାର୍ଡ / ଭୁବନେଶ୍ୱର ଦୁର୍ବଳ ହୋଇ ଘୂର୍ଣ୍ଣିଝଡ଼ରେ ପରିଣତ ହେଲା ବାତ୍ୟା ‘ମୋନ୍ଥା’। ଆନ୍ଧ୍ରପ୍ରଦେଶ ଉପକୂଳ ଉପରେ...
ରିପୋର୍ଟ କାର୍ଡ / ଭୁବନେଶ୍ୱର ଭୀଷଣ ବାତ୍ୟାର ରୂପ ଧରି ସ୍ଥଳଭାଗ ଆଡକୁ ମାଡି ଆସୁଛି ବାତ୍ୟା। ଏହାରି...
ରିପୋର୍ଟ କାର୍ଡ / ଭୁବନେଶ୍ୱର ଦୁର୍ନୀତି ନିବାରଣ ସଚେତନତା ସପ୍ତାହ କାର୍ଯ୍ୟକ୍ରମରେ ମୁଖ୍ୟମନ୍ତ୍ରୀ ମୋହନ ଚରଣ ମାଝି କ୍ଷୋଭ...
ରିପୋର୍ଟ କାର୍ଡ / ଭୁବନେଶ୍ୱର ଭୟଙ୍କର ରୂପ ଧାରଣ କରିବ ମାଡି ଆସୁଛି ବାତ୍ୟା ମନ୍ଥା । ବାତ୍ୟା...
ରିପୋର୍ଟ କାର୍ଡ / ଭୁବନେଶ୍ୱର ଆଜି ସକାଳ ୫ଟା ୩୦ରୁ ଭୟଙ୍କର ବାତ୍ୟାରେ ପରିଣତ ହୋଇଛି ମନ୍ଥା ।...
ରିପୋର୍ଟ କାର୍ଡ / ଭୁବନେଶ୍ୱର ଭୁବନେଶ୍ୱର ମଞ୍ଚେଶ୍ୱରସ୍ଥିତ ନୂଆ ବାଲିଯାତ୍ରା ପଡିଆ ଠାରେ ଆୟୋଜିତ ଛଠ ପୂଜା କାର୍ଯ୍ୟକ୍ରମରେ...
ରିପୋର୍ଟ କାର୍ଡ / ଭୁବନେଶ୍ୱର ସମ୍ଭାବ୍ୟ ବାତ୍ୟା ‘ମନ୍ଥା’କୁ ନେଇ ଅଗ୍ନିଶମ ଓ ଜରୁରୀକାଳୀନ ସେବା ସମ୍ପୂର୍ଣ୍ଣ ପ୍ରସ୍ତୁତି...
ରିପୋର୍ଟ କାର୍ଡ / ଭୁବନେଶ୍ୱର ୨୦୨୫ ଶେଷ ହେବାକୁ ୨ମାସ ବାକି ରହିଛି। ହେଲେ ଏପର୍ଯ୍ୟନ୍ତ ବାବୁମାନେ ୨୦୨୪...
ରିପୋର୍ଟ କାର୍ଡ / ଭୁବନେଶ୍ୱର ଦକ୍ଷିଣ-ପଶ୍ଚିମ ଏବଂ ଏହାର ପାର୍ଶ୍ବବର୍ତ୍ତୀ ପଶ୍ଚିମ-କେନ୍ଦ୍ରୀୟ ବଙ୍ଗୋପସାଗର ଅଞ୍ଚଳରେ ସୃଷ୍ଟି ହୋଇଥିବା ଗଭୀର...














